-
- Površina
- 4.511,00 m²
-
- Vrsta posesti
- Drugo
Osnovne informacije
- Vrsta ponudbe
- Prodam
- Lokacija
- Posavska, Brežice, Bizeljsko
- Vrsta posesti
- Drugo
- Namembnost
- drugo
- Površina
- 4.511,00 m²
- Vrsta cene
- Skupna cena
Opis oglasa
Posest, Spodnjeposavska, Bizeljsko, Gradiše, 4511 m2, prodam
Prodam posest na Bizeljskem.
Posest po lokacijski informaciji izpolnjuje pogoje razpršene gradnje. Posest se spušča na prisojni strani po strmini in se zaključi s položnejšim delom. Na posesti sta vrisana oz. še dejansko stojita napol podrta objekta, stanovanjski in ne stanovanjski. Voda in elektrika na parceli. Dostop po asvaltni cesti z dveh strani...(Župjek in UVD)8
(Razpršena gradnja)
(1) Objekti razpršene gradnje so legalno zgrajeni objekti na zemljiščih, ki s tem odlokom niso prikazana kot stavbna zemljišča, vendar imajo v skladu z ostalimi določbami tega odloka status stavbnega zemljišča.
(2) Na parceli legalno zgrajenih objektih razpršene gradnje iz prvega odstavka tega člena so dopustni:
- rekonstrukcija objektov,
- dozidave in nadzidave do 50% BEP osnovnega objekta,
- vzdrževanje objektov,
- odstranitev objektov,
- komunalna in oblikovna sanacija objektov.
- rekonstrukcija objektov in gradnja na parceli in v gabaritih odstranjenega objekta v skladu z izvedbenimi določili.
(1) Na parceli objekta razpršene gradnje iz prvega odstavka tega člena so izmed nezahtevnih in enostavnih objektov dovoljeni objekti, ki so dopustni za namensko rabo Ap.
(2) Za objekte razpršene gradnje iz prvega odstavka tega člena veljajo podrobni prostorski izvedbeni pogoji, ki veljajo za objekte v namenski rabi SSe.
(3) Na legalno zgrajenih obstoječih objektih razpršene gradnje iz prvega odstavka tega člena so dovoljene gradnje na mestu predhodno odstranjenega objekta v istih gabaritih z isto namembnostjo in z minimalno korekcijo višinskega gabarita.
(4) Na legalno zgrajenih objektih razpršene gradnje iz prvega odstavka tega člena ni dopustna sprememba dejavnosti iz nebivanjske v bivanjsko.
Ime in priimek agenta: Boštjan Kukovičič
Tel. številka: 031415508
Elektronski naslov: bostjan.kukovicic@gmail.com
Prodam posest na Bizeljskem.
Posest po lokacijski informaciji izpolnjuje pogoje razpršene gradnje. Posest se spušča na prisojni strani po strmini in se zaključi s položnejšim delom. Na posesti sta vrisana oz. še dejansko stojita napol podrta objekta, stanovanjski in ne stanovanjski. Voda in elektrika na parceli. Dostop po asvaltni cesti z dveh strani...(Župjek in UVD)8
(Razpršena gradnja)
(1) Objekti razpršene gradnje so legalno zgrajeni objekti na zemljiščih, ki s tem odlokom niso prikazana kot stavbna zemljišča, vendar imajo v skladu z ostalimi določbami tega odloka status stavbnega zemljišča.
(2) Na parceli legalno zgrajenih objektih razpršene gradnje iz prvega odstavka tega člena so dopustni:
- rekonstrukcija objektov,
- dozidave in nadzidave do 50% BEP osnovnega objekta,
- vzdrževanje objektov,
- odstranitev objektov,
- komunalna in oblikovna sanacija objektov.
- rekonstrukcija objektov in gradnja na parceli in v gabaritih odstranjenega objekta v skladu z izvedbenimi določili.
(1) Na parceli objekta razpršene gradnje iz prvega odstavka tega člena so izmed nezahtevnih in enostavnih objektov dovoljeni objekti, ki so dopustni za namensko rabo Ap.
(2) Za objekte razpršene gradnje iz prvega odstavka tega člena veljajo podrobni prostorski izvedbeni pogoji, ki veljajo za objekte v namenski rabi SSe.
(3) Na legalno zgrajenih obstoječih objektih razpršene gradnje iz prvega odstavka tega člena so dovoljene gradnje na mestu predhodno odstranjenega objekta v istih gabaritih z isto namembnostjo in z minimalno korekcijo višinskega gabarita.
(4) Na legalno zgrajenih objektih razpršene gradnje iz prvega odstavka tega člena ni dopustna sprememba dejavnosti iz nebivanjske v bivanjsko.
Ime in priimek agenta: Boštjan Kukovičič
Tel. številka: 031415508
Elektronski naslov: bostjan.kukovicic@gmail.com
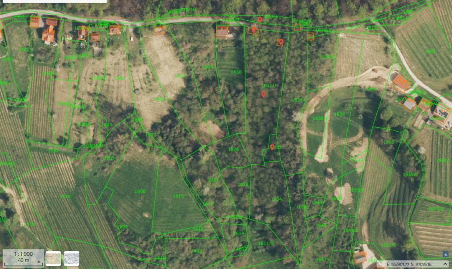
Zemljevid
Dodatne informacije
Komunalni priključki
nega3
Vsi oglasi tega oglaševalca
Uporabnik je telefonsko številko preveril v državi Slovenija
Uporabnik ni trgovec in zanj ne veljajo določbe EU o varstvu potrošnikov.
- Naslov: 3000 Celje, Savinjska, Slovenija
-
- Oglas je objavljen
- 14.12.2025. ob 03:34
- Do poteka še
- Oglas je prikazan
- 2447 -krat
nega3
Vsi oglasi tega oglaševalca
Uporabnik je telefonsko številko preveril v državi Slovenija
Uporabnik ni trgovec in zanj ne veljajo določbe EU o varstvu potrošnikov.
- Naslov: 3000 Celje, Savinjska, Slovenija
-

